Montbouy, jeudi 20 novembre 2025, les bénévoles de l’AAPPMA Le Brochet de Montbouy se sont retrouvés tôt le matin pour une opération de repeuplement piscicole. Une action attendue chaque année par les pêcheurs et les amoureux de la nature, qui vise à renforcer la biodiversité dans nos cours d’eau et plans d’eau.
Au fil de la journée, plusieurs sites ont accueilli les déversements :
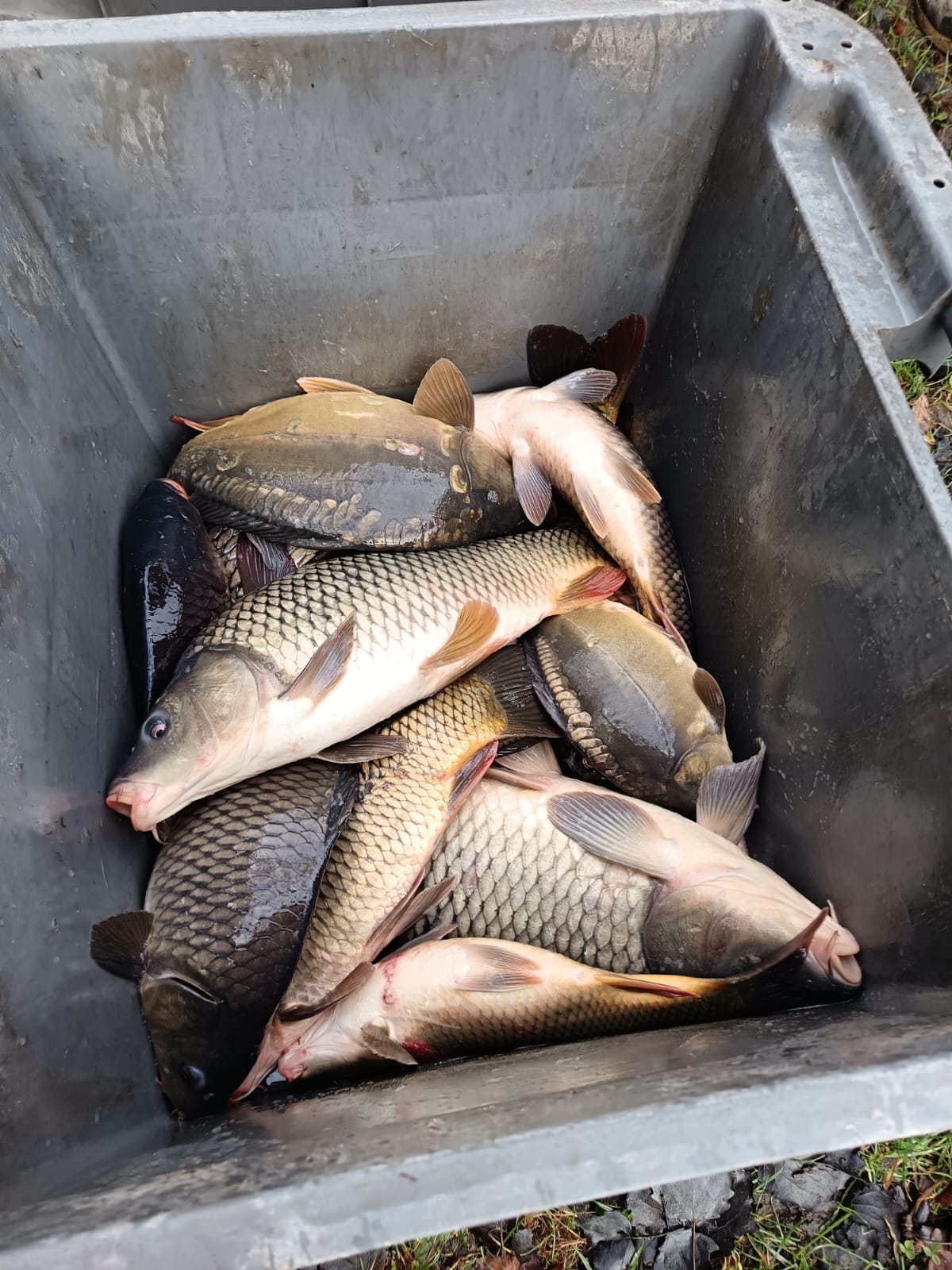
Montcresson – Étangs de la Vallée : 120 kg de gardons, 50 kg de carpes, 10 kg de tanches, ainsi que 20 kg de brochets et 20 kg de perches.
Montbouy – Étangs de Salleneuve : 80 kg de gardons, 50 kg de carpes, 10 kg de tanches, 20 kg de brochets et 20 kg de perches.
Canal de Briare (Montbouy/Montcresson) : 20 kg de brochets et 20 kg de perches.
Châtillon-Coligny – Étang Polisset : 200 kg de gardons déversés par la Fédération de pêche, en collaboration avec l’AAPPMA Le Brochet de Montbouy. L’association a également ajouté environ 50 kg de perches et de carpes.
Au total, près de 4000 € ont été investis par l’A.P.P.M.A. pour cette opération, preuve de l’importance accordée à la préservation du patrimoine aquatique.
Autour des étangs et du canal, les bénévoles ont prêté main forte aux pisciculteurs agréés. Les bassines remplis de poissons ont été délicatement déversées, laissant s’échapper les gardons, carpes, perches et brochets dans leur nouvel habitat.
Ce repeuplement n’est pas seulement une aide ponctuelle : il s’agit d’un investissement sur le long terme. En diversifiant les espèces et en renforçant les populations, l’AAPPMA espère garantir un équilibre écologique durable et offrir aux pêcheurs de demain des rivières et étangs riches en vie.
















Merci Kenavo pour les photos !